360 Industrial
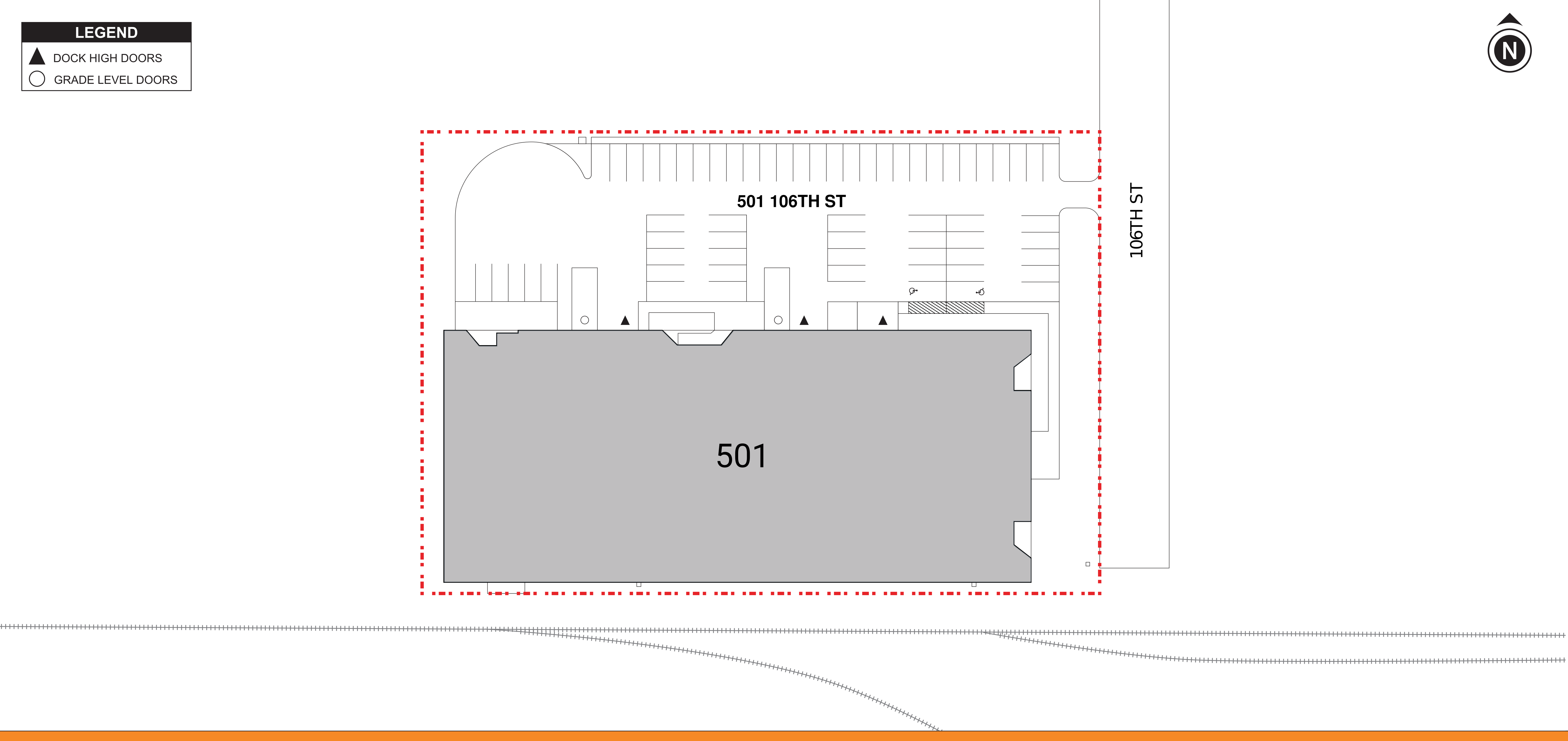
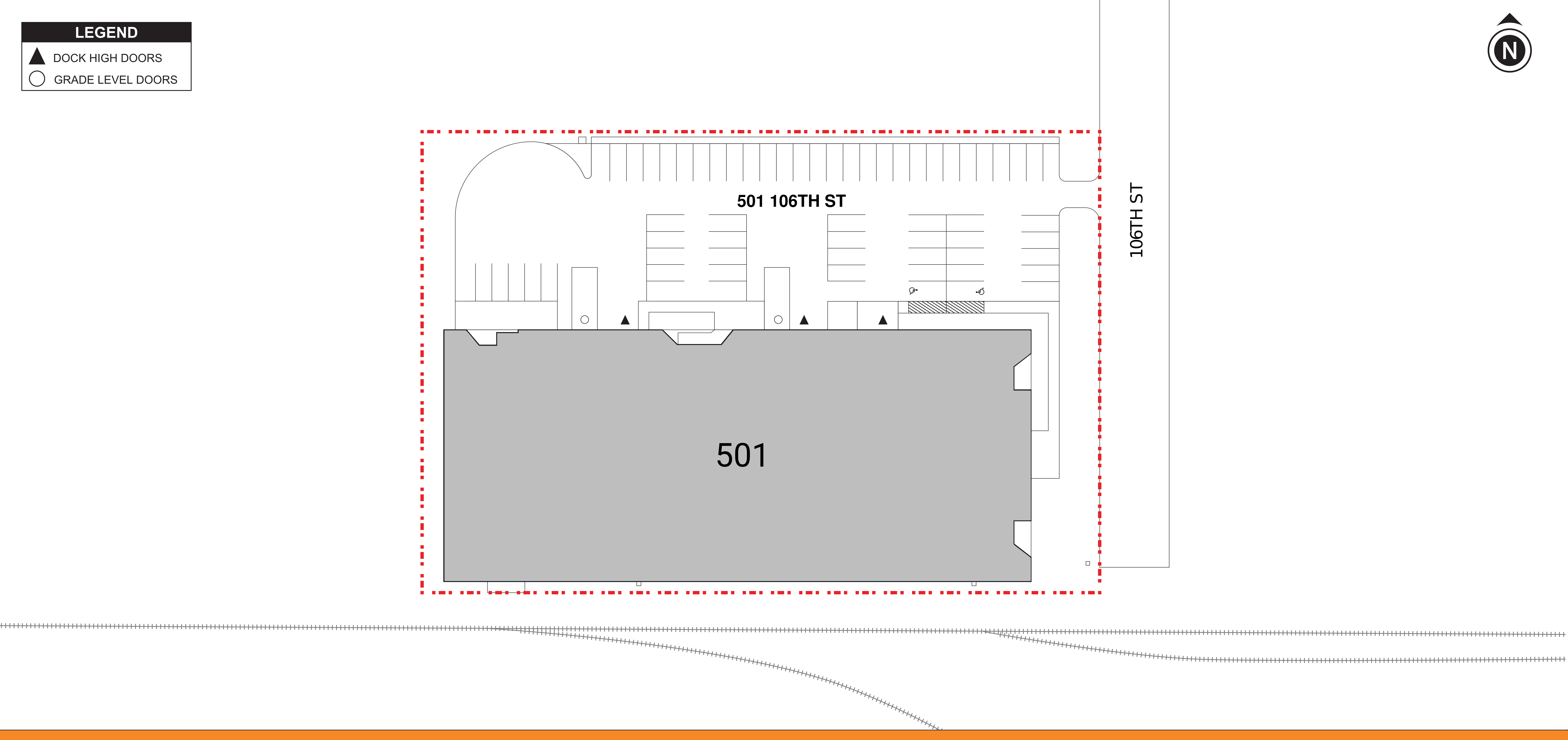
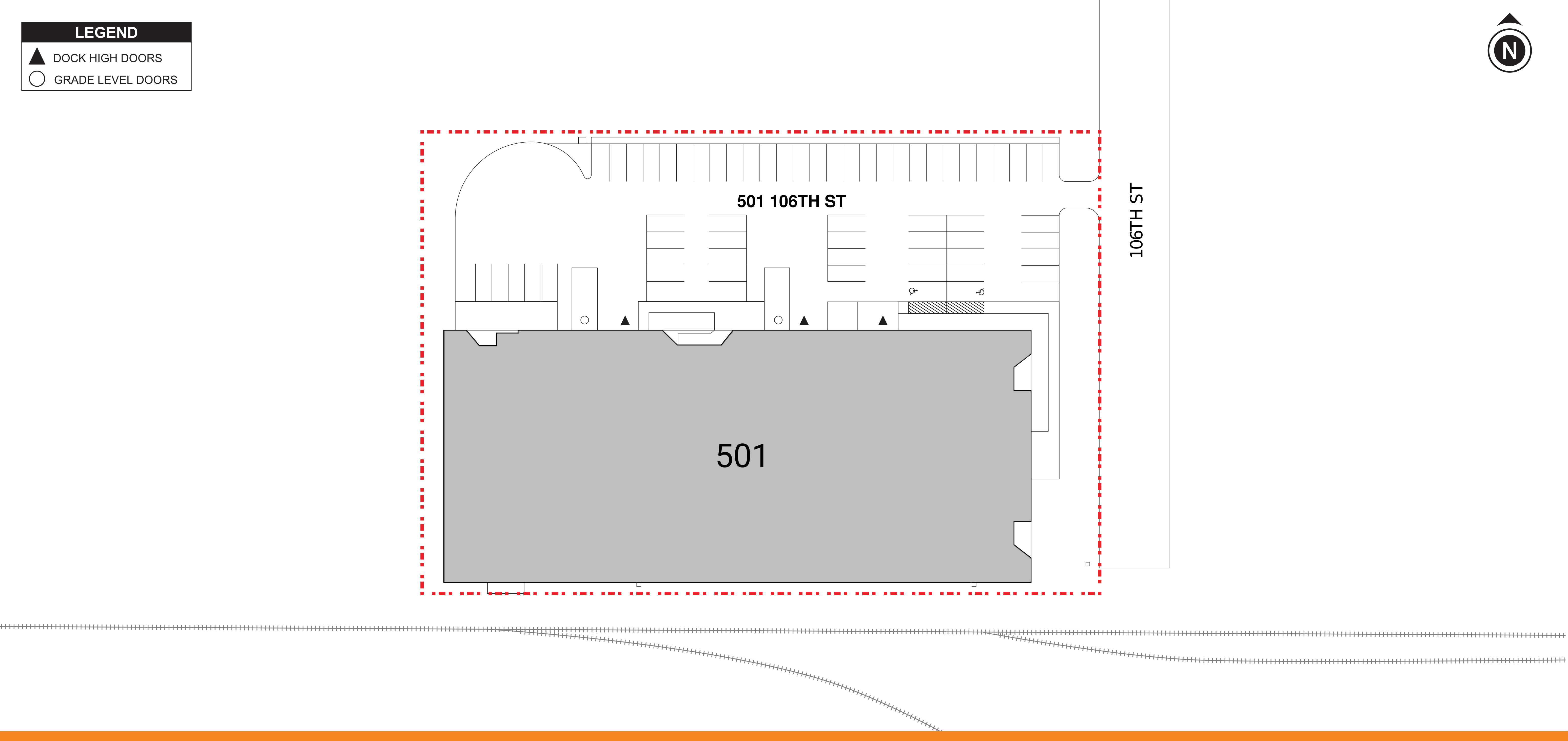
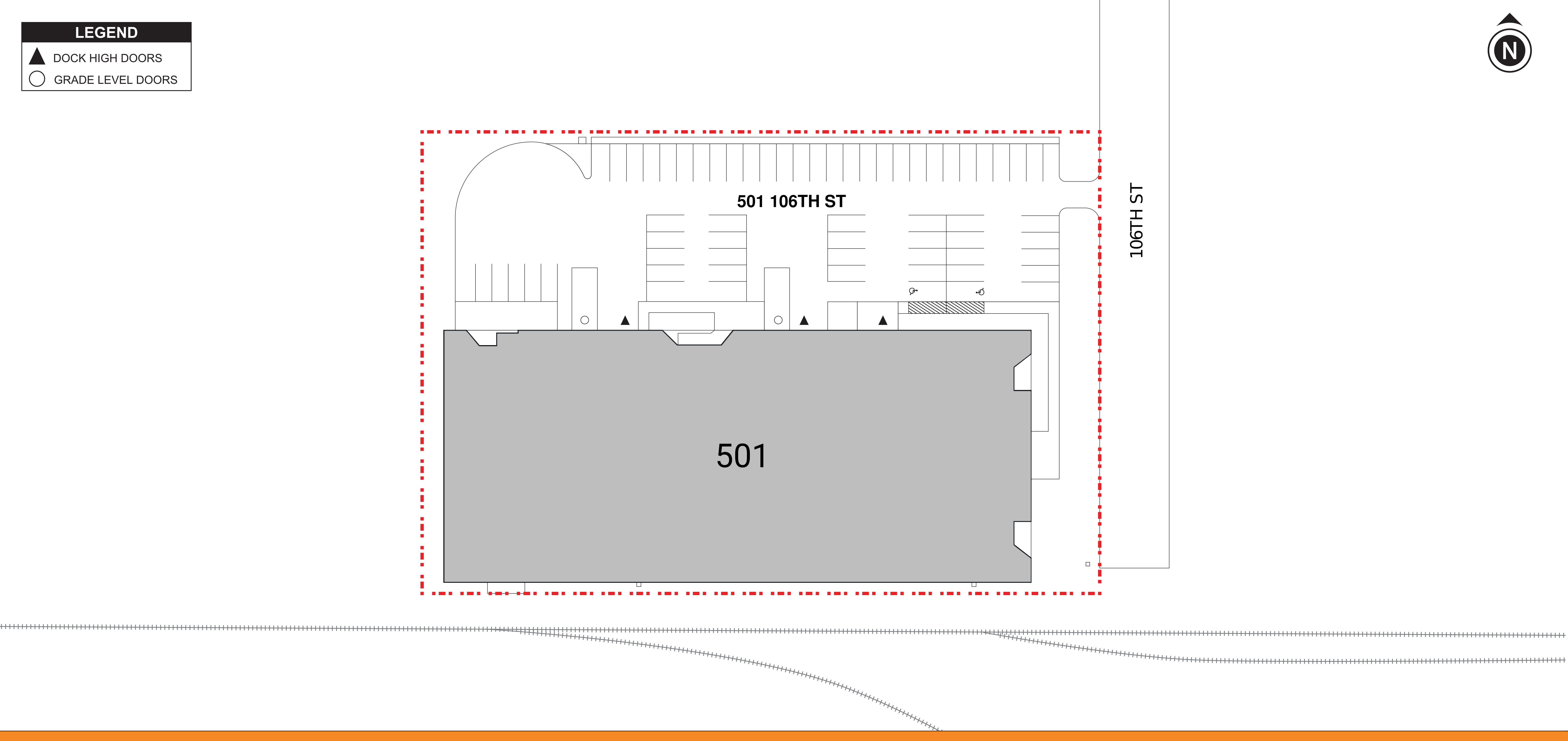
501 106th St Arlington, TXPROPERTY FEATURES
- DOCK-HIGH AND DRIVE-IN LOADING, AMPLE PARKING, AND 100' TRUCK COURT DEPTH
- 18' CLEAR HEIGHTS AND EFFICIENT FRONT-LOAD CONFIGURATION
- STRATEGIC GREAT SOUTHWEST SUBMARKET LOCATION NEAR SH-360, I-30, AND I-20
- QUICK ACCESS TO DFW AIRPORT, DALLAS, AND FORT WORTH
CALL US TODAY
713.444.5944-
PROPERTY LOCATION Arlington, TX
-
BUILDING SIZE 42,506 SF
-
AVAILABLE SQ. FT. None Available
360 Industrial
Henry Landwermeyer,
Leasing Manager
12848 Queensbury Lane, Suite 208
Houston,
TX
77024
p. 713.444.5944