Decatur Crossing II
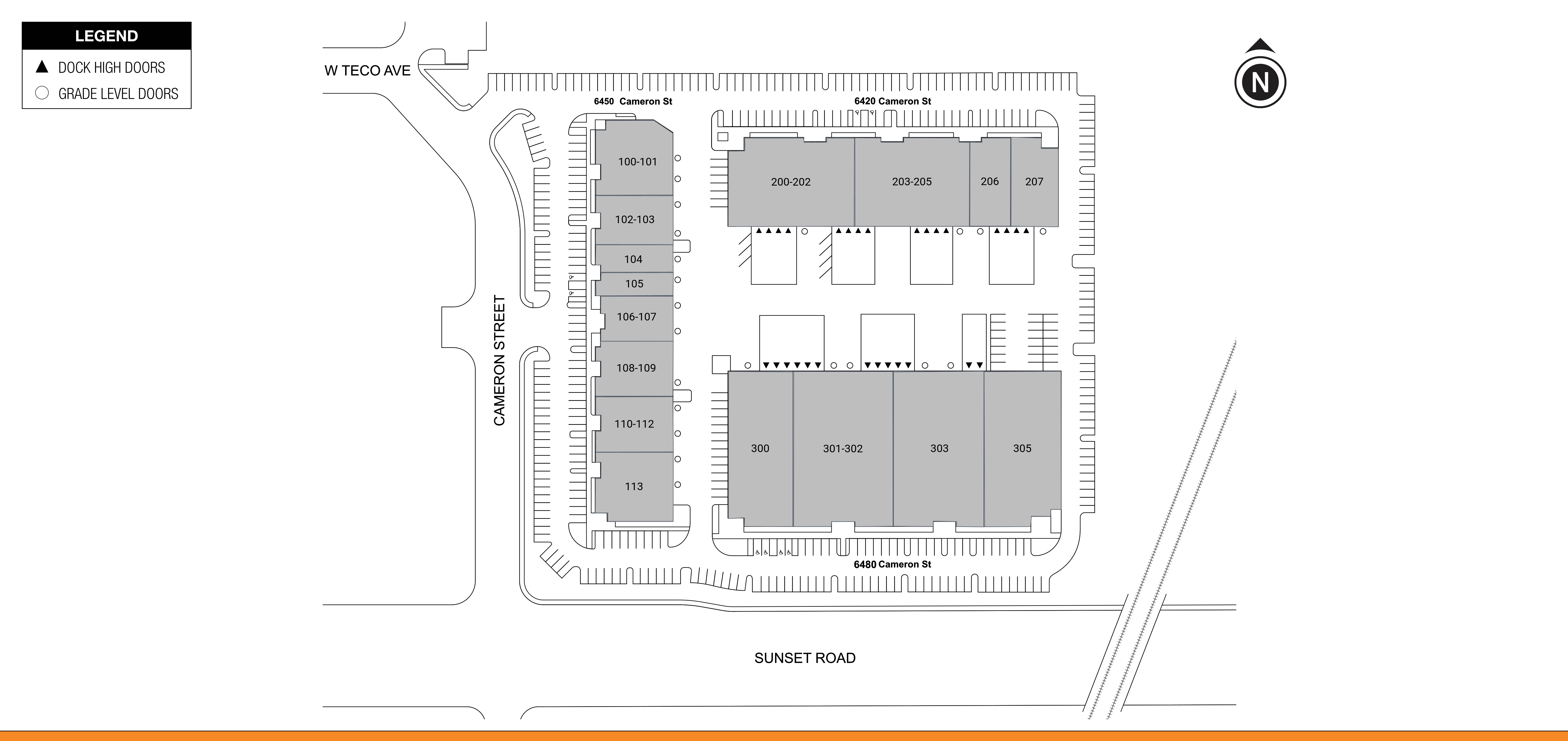
6420, 6450, 6480 Cameron St Las Vegas, NVPROPERTY FEATURES
- 140,596 INDUSTRIAL BUSINESS PARK
- 18'-24' CLEAR HEIGHT (GRADE AND DOCK HIGH DOORS)
- LOCATED IN THE HEART OF THE DESIREABLE SOUTHWEST SUBMARKET WITH EASY ACCESS TO THE I-215, I-15, THE LAS VEGAS STRIP, AND HARRY REID INTERNATIONAL AIRPORT
CALL US TODAY
702-836-3758-
PROPERTY LOCATION Las Vegas, NV
-
BUILDING SIZE 140,828 SF
-
AVAILABLE SQ. FT. 13,293 SF
Decatur Crossing II
Gabe Telles,
Leasing Agent
3960 Howard Hughes Pkwy, Ste 150
Las Vegas,
nv
89169
p. 702-836-3758
CURRENT AVAILABILITIES
| BUILDING | SUITE | Total size | Office Size | Office % | Type | Clear HT. | GL | DL | Floor plan | Photos |
|---|---|---|---|---|---|---|---|---|---|---|
| 2 | 203-205 | 13,293 | 1,573 | 12% | IND | 24 | 3 | 5 | View plan | NOT AVAILABLE |