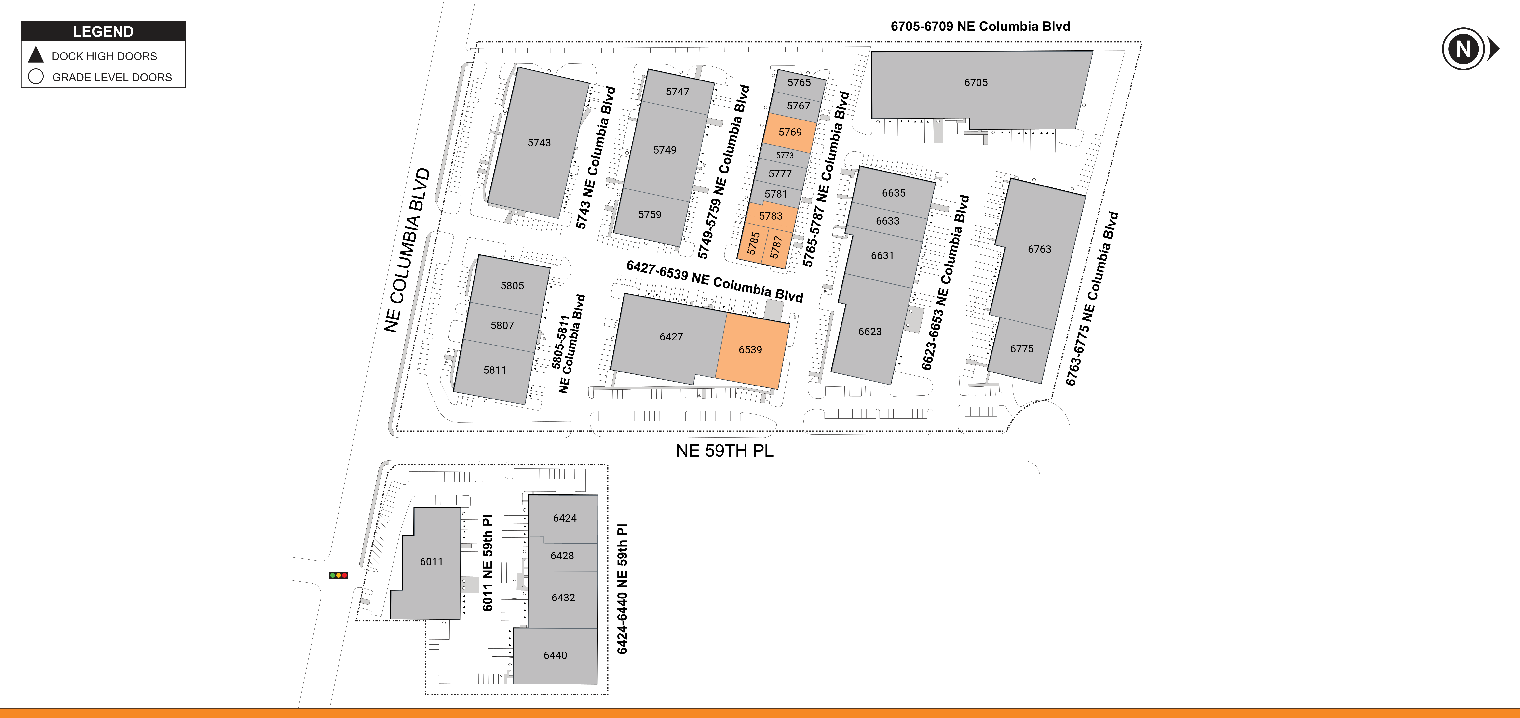
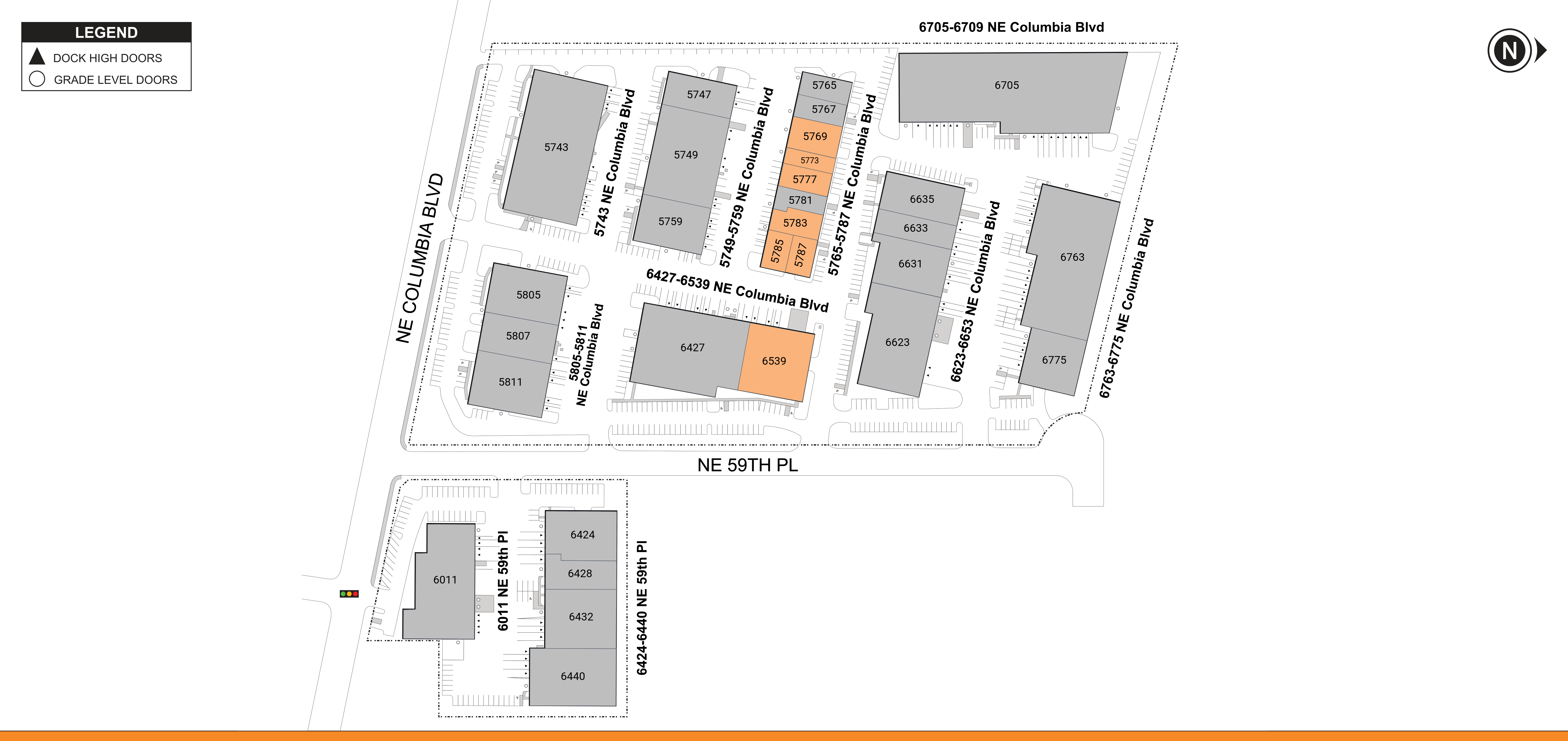
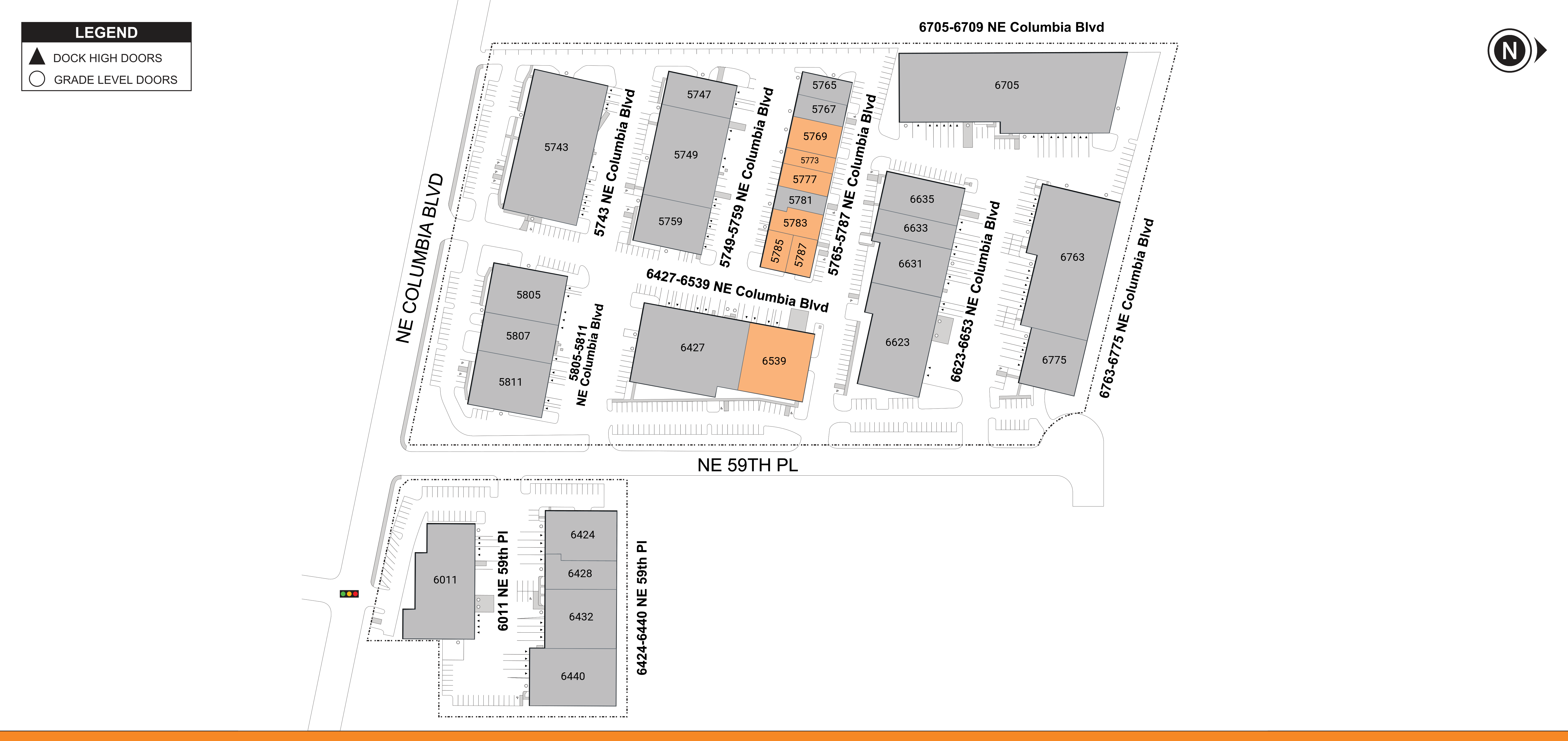
Columbia Commerce Park
5743 NE Columbia Blvd Portland, ORPROPERTY FEATURES
-
STRATEGICALLY LOCATED ALONG THE MAJOR EAST/WEST COLUMBIA BOULEVARD CORRIDOR
-
WITHIN MINUTES FROM THE I-5 AND 205 FREEWAY INTERCHANGE,
PORTLAND INTERNATIONAL AIRPORT, PORT OF PORTLAND, AND MAJOR POPULATION CENTERS
-
CONSISTS OF AN INSTITUTIONAL-QUALITY COLLECTION OF 10 INFILL, LIGHT INDUSTRIAL BUILDINGS
CALL US TODAY
206.487.7027-
PROPERTY LOCATION Portland, OR
-
BUILDING SIZE 375,572 SF
-
AVAILABLE SQ. FT. 29,987 SF
Columbia Commerce Park
Taylor Hazard, MBA,
Senior Leasing Manager
601 Strander Blvd
Tukwila,
WA
98188
p. 206.487.7027
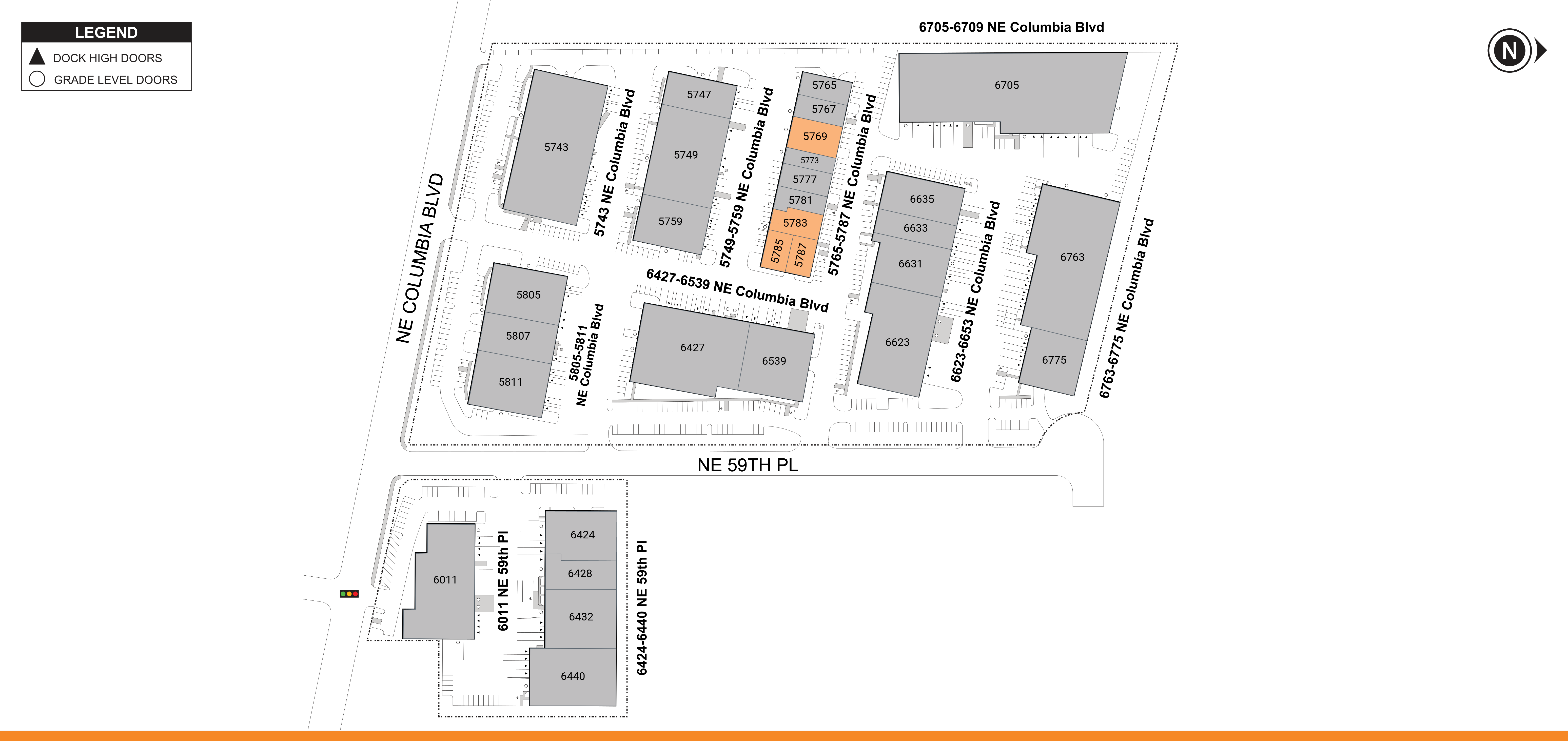
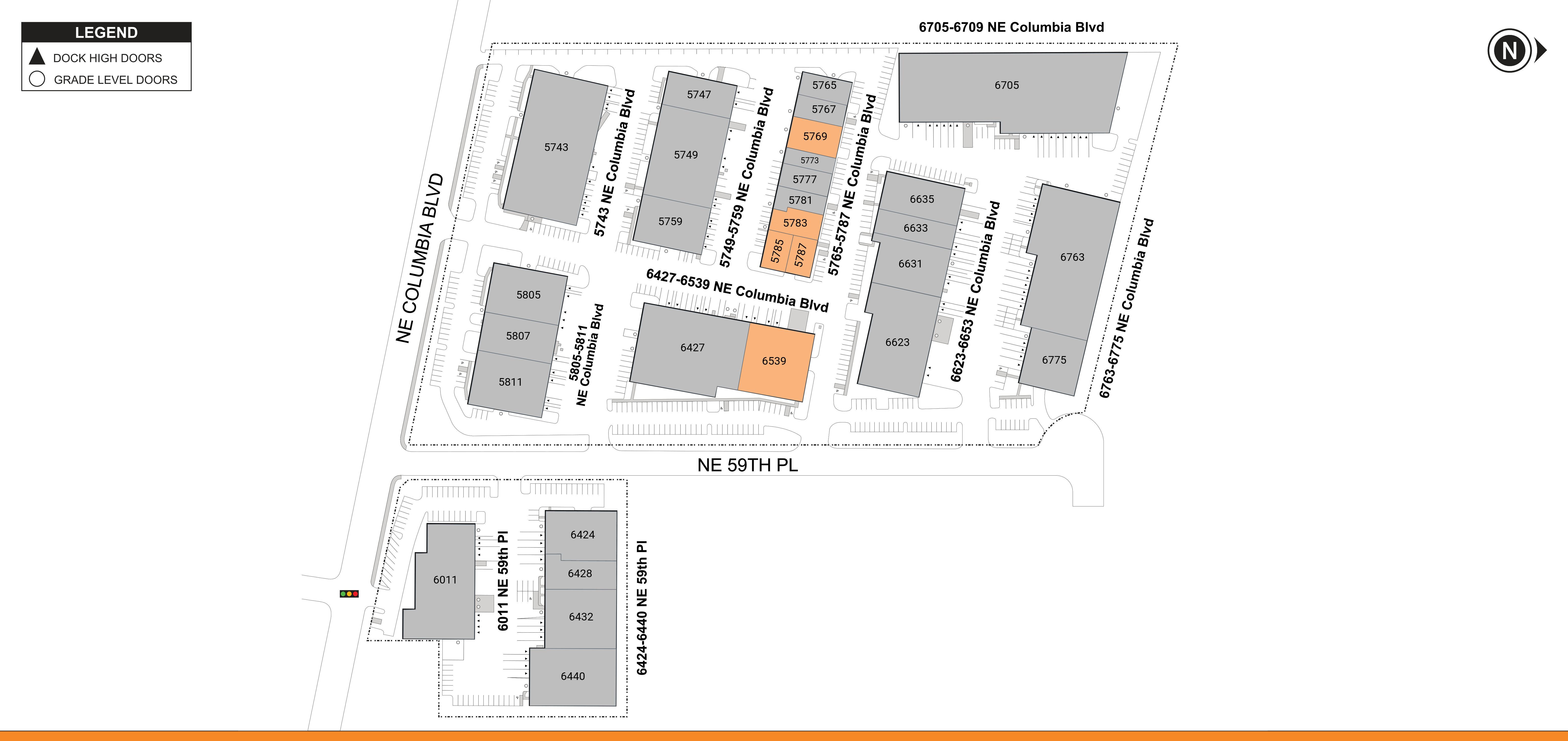
CURRENT AVAILABILITIES
| BUILDING | SUITE | Total size | Office Size | Office % | Type | Clear HT. | GL | DL | Floor plan | Photos |
|---|---|---|---|---|---|---|---|---|---|---|
| 5 | 5769 | 7,463 | 1,517 | 20% | IND | 14 | 2 | 0 | View plan | View Photos |
| 5 | 5773 | 1,882 | 0 | 0% | IND | 0 | 2 | 0 | NOT AVAILABLE | NOT AVAILABLE |
| 5 | 5777 | 3,610 | 1,139 | 32% | IND | 14 | 1 | 0 | View plan | View Photos |
| 5 | 5783 | 4,319 | 643 | 15% | IND | 14 | 1 | 0 | View plan | View Photos |
| 5 | 5785 | 2,806 | 951 | 34% | IND | 14 | 1 | 0 | View plan | View Photos |
| 5 | 5787 | 2,787 | 1,030 | 37% | IND | 14 | 1 | 0 | View plan | View Photos |
| 4 | 6539 | 9,020 | 0 | 0% | IND | 0 | 0 | 0 | View plan | NOT AVAILABLE |