Mount Diablo Industrial Park
1850, 1900 Bates Avenue; 4070, 4075, 4085, 4090 Nelson Avenue; and 125, 135, 150, 185 Mason Circle Concord, CAPROPERTY FEATURES
- STRATEGICALLY LOCATED MULTI-TENANT INDUSTRIAL PARK IN CONCORD, CA
- SITUATED ACROSS SIX PARCELS TOTALING 17.3 ACRES WITH EASY ACCESS TO MAJOR THOROUGHFARES, SUPPORTING EFFICIENT LOGISTICS AND COMMUTING
- 14-20' CLEAR HEIGHTS, AND FLEXIBLE FLOORPLANS SUITABLE FOR WAREHOUSING, LIGHT MANUFACTURING, AND DISTRIBUTION USES
CALL US TODAY
510-370-2864-
PROPERTY LOCATION Concord, CA
-
BUILDING SIZE 246,212 SF
-
AVAILABLE SQ. FT. 40,293 SF
X
close
Mount Diablo Industrial Park
Colby Mikulich,
Leasing Manager
p. 510-370-2864
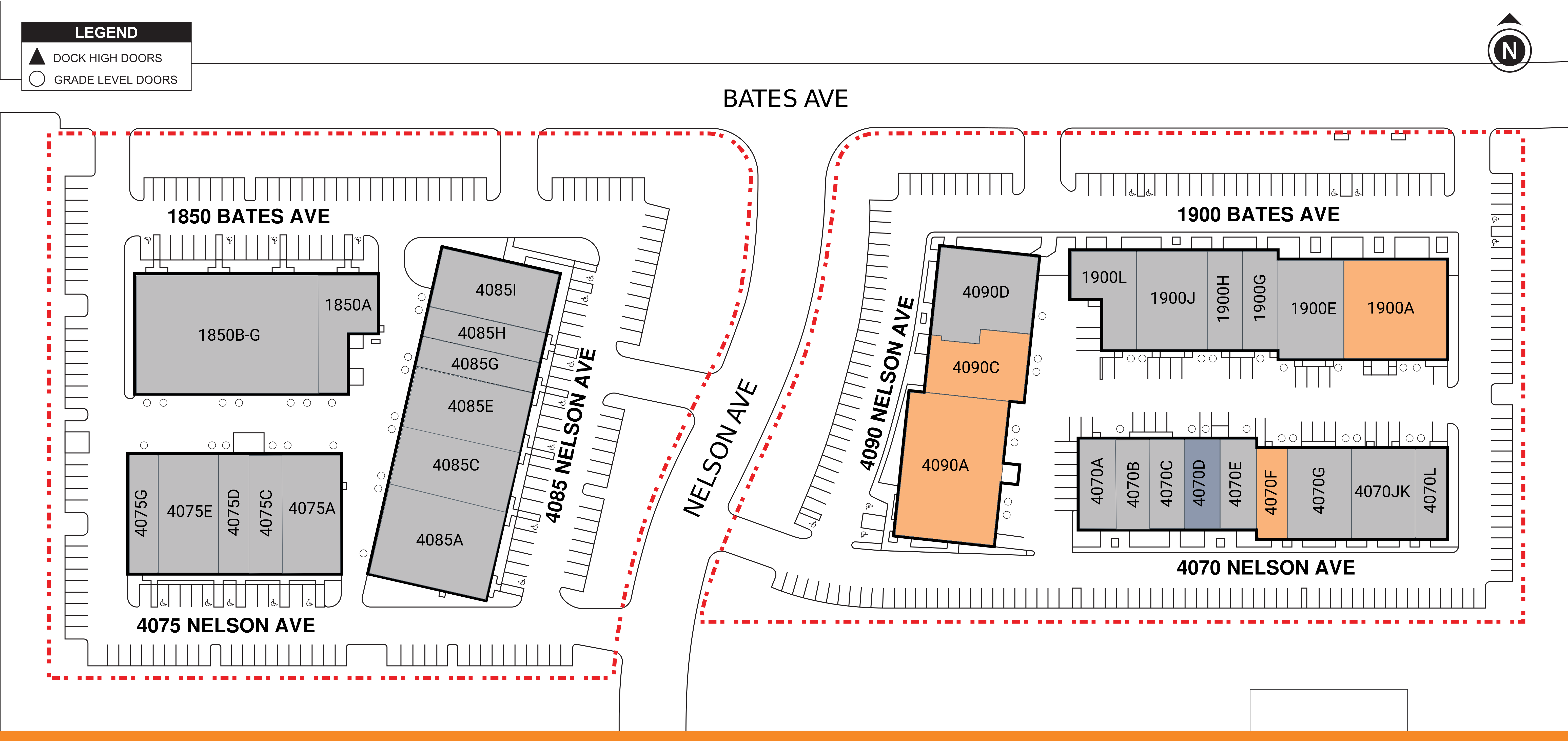
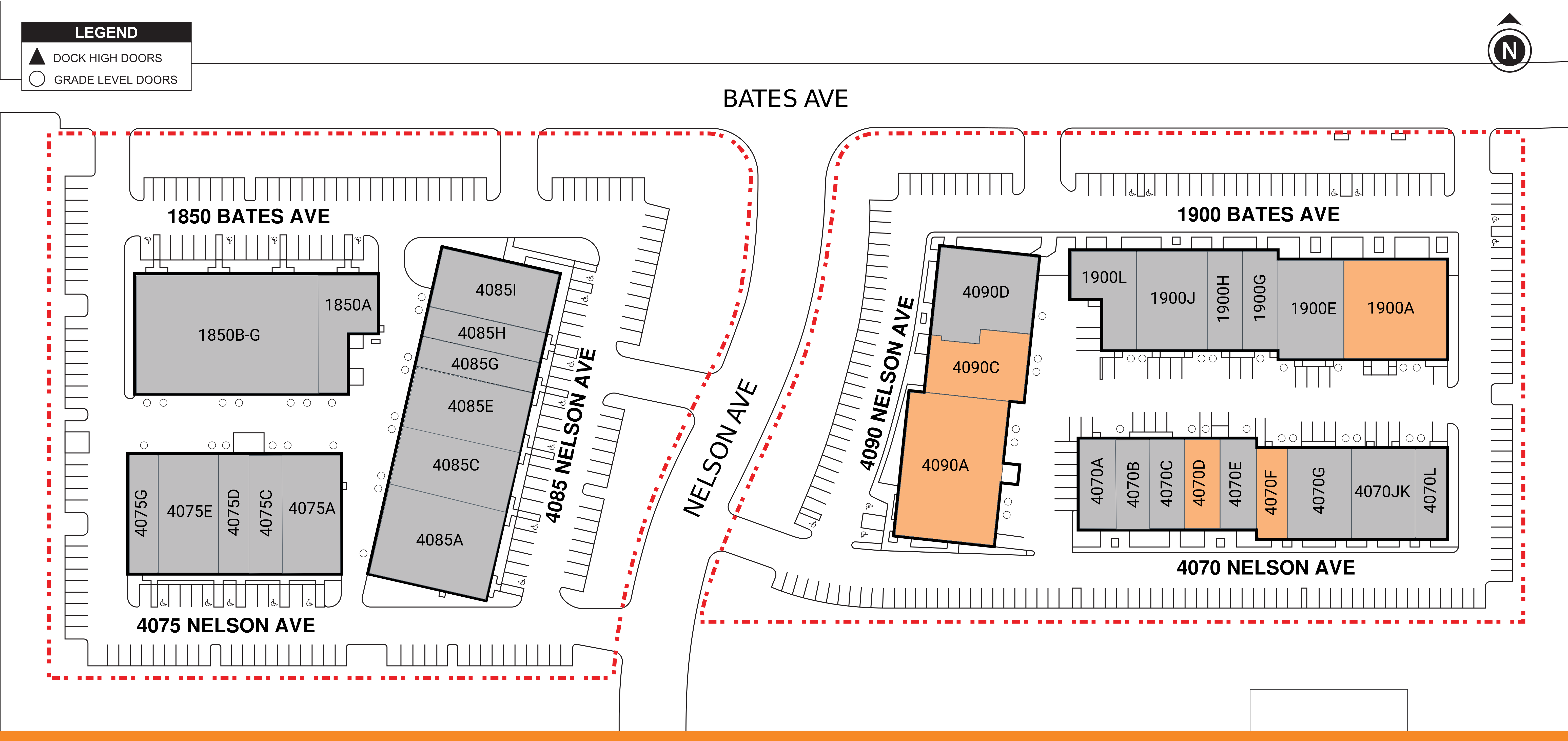
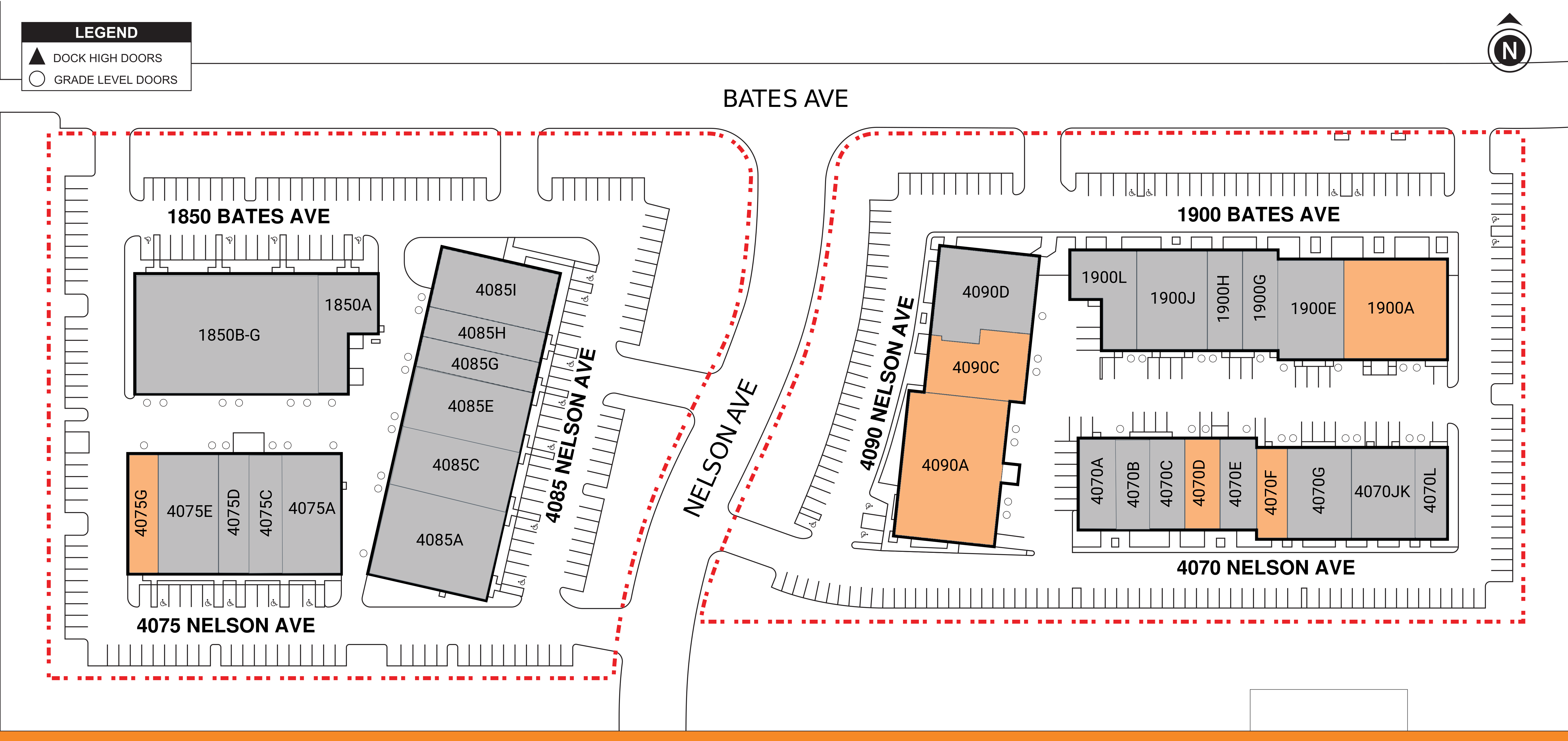
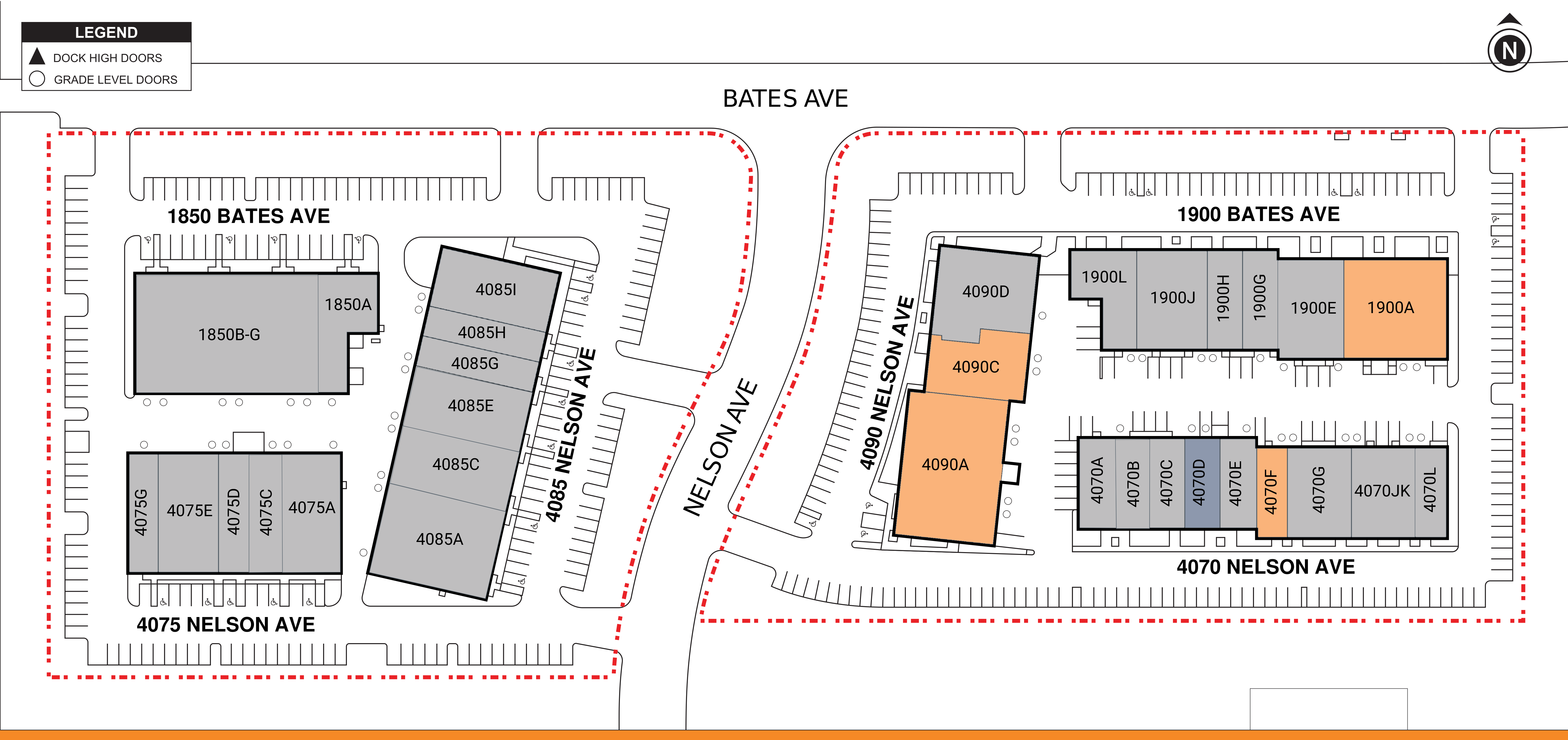
CURRENT AVAILABILITIES
| BUILDING | SUITE | Total size | Office Size | Office % | Type | Clear HT. | GL | DL | Floor plan | Photos |
|---|---|---|---|---|---|---|---|---|---|---|
| 1900 | 1900A | 6,183 | 3,564 | 58% | IND | 9 | 2 | 0 | View plan | NOT AVAILABLE |
| 4070 | 4070F | 1,811 | 1,007 | 56% | IND | 15 | 1 | 0 | View plan | NOT AVAILABLE |
| 4090 | 4090A | 9,256 | 1,826 | 20% | IND | 13 | 3 | 0 | View plan | NOT AVAILABLE |
| 4090 | 4090C | 3,908 | 1,360 | 35% | IND | 13 | 2 | 0 | View plan | NOT AVAILABLE |
COMING AVAILABLE
| BUILDING | SUITE | Total size | Office Size | Office % | Type | Clear HT. | GL | DL | DATE AVAILABLE | Floor plan |
|---|---|---|---|---|---|---|---|---|---|---|
| 4070 | 4070D | 1,991 | 941 | 47% | IND | 15 | 1 | 0 | 03/01/2026 | View plan |
SITE PLAN
Available
Coming Available